Main Content

27277 Lower Smith River Road, Reedsport, OR 97467 (MLS # 220211864)

Price $2,200,000
Status Active
Beds 4
Baths 2 Baths
Home size 3,616 sqft
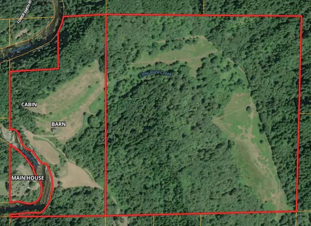
Lot Size 270.00 ac
Days on Market 32
Located on the Smith River in Oregon, this one-of-a-kind property has so much to offer! 270 acres of beautiful pastures, an orchard, merchantable timber, and meadows alive with wildlife. With the Smith River running through the property, hunting and fishing is an outdoorsman's dream...watch the salmon run just steps from your door! Nestled safely above the river is a well appointed 4bed/2bath home with a 3-bay garage/shop. Outdoor living is a delight as you listen to the sound of live water from your patio or sit under the shade of an old growth tree nearby. Take a stroll across the suspended walking bridge which spans across the river or drive across the river over a natural rock ford that has been used throughout its history to a beautiful 2-level restored barn, corrals, cascading waterfalls and two year round creeks. Tucked away for privacy is a well crafted 2 bedroom guest cabin. Boasting unparalleled serenity & privacy come and see what makes this property so special. LOP tags
Property Type(s): Single Family
Last Updated 11/13/2025 Tract N/A
Year Built 1964 Garage Spaces 1.0
County Douglas

SCHOOLS

Elementary School Check with District
Jr. High School Check with District
High School Check with District

Additional Details

AIR Wall/Window Unit(s)
AIR CONDITIONING Yes
APPLIANCES Cooktop, Dishwasher, Disposal, Dryer, Microwave, Oven, Refrigerator, Trash Compactor, Washer
BARN/EQUESTRIAN Yes
BASEMENT Yes
CONSTRUCTION Frame
EXTERIOR Garden
FIREPLACE Yes
FOUNDATION Partial
GARAGE Yes
HEAT Electric, Fireplace(s), Wood
INTERIOR Granite Counters, Kitchen Island, Pantry, Vaulted Ceiling(s), Walk-In Closet(s)
LOT 270 acre(s)
LOT DESCRIPTION Garden, Native Plants, Pasture, Waterfront, Wooded
PARKING Attached, Driveway, Gated, RV Access/Parking
SEWER Septic Tank
STORIES 2
STYLE Traditional
SUBDIVISION N/A
TAXES 4635
VIEW Yes
VIEW DESCRIPTION Mountain(s), Orchard, River
WATER Cistern, Spring
WATERFRONT Yes
WATERFRONT DESCRIPTION River Front, Waterfront
ZONING FF
Listed with Cascade Hasson SIR

©2025 Oregon Datashare (KCAR | MLSCO | SOMLS). All rights reserved. The data relating to real estate for sale on this web site comes in part from the Internet Data Exchange Program of the Oregon Datashare. Real estate listings held by IDX Brokerage firms other than Elite Real Estate Company are marked with the Internet Data Exchange logo or the Internet Data Exchange thumbnail logo and detailed information about them includes the name of the listing Brokers. Information provided is for consumers' personal, non-commercial use and may not be used for any purpose other than to identify prospective properties the viewer may be interested in purchasing. The consumer will not copy, retransmit nor redistribute any of the content from this website. Information provided is deemed reliable, but not guaranteed. Listing courtesy of Elite Real Estate Company. Data last updated: 11/30/25 11:54 PM PST.

This IDX solution is (c) Diverse Solutions 2025.

Location

 

Contact us about this Property

 / 
We respect your online privacy and will never spam you. By submitting this form with your telephone number you are consenting for Chamese Christianson to contact you even if your name is on a Federal or State "Do not call List".

Email a Friend

08Connect With Legacy Realty

We'd Love to hear from you